Case Studies

Efficient Scan-to-BIM: A Full-Workflow Case Study of...

Handheld SLAM vs. TLS for Highway Bridge Surveys...

Earthwork Volume Calculation with XGRIDS L2 Pro...

Turkish Surveying Firm Combines Handheld and Terrestrial LiDAR...

Mapping the City's "Lifeline": Lixel L2 Pro Assists in Surveying...

Exploring Depths: Lixel L1 Unveils the Sublime...

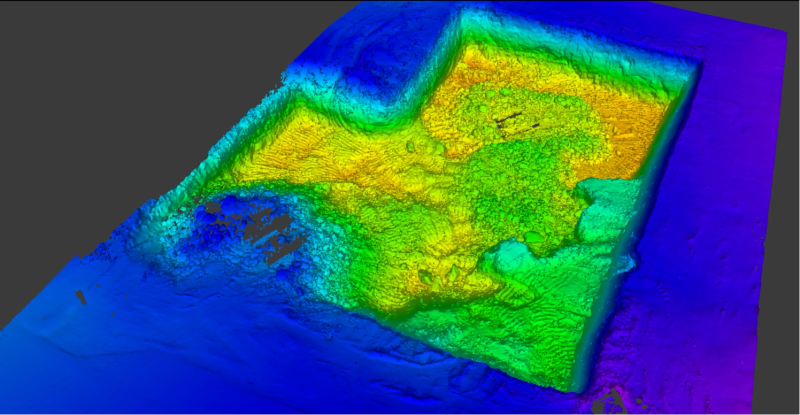
Revolutionize Stockpile Measurement for Lithium Mica...

50% Accelerated Full-Project Lifecycle Infrastructure QA...